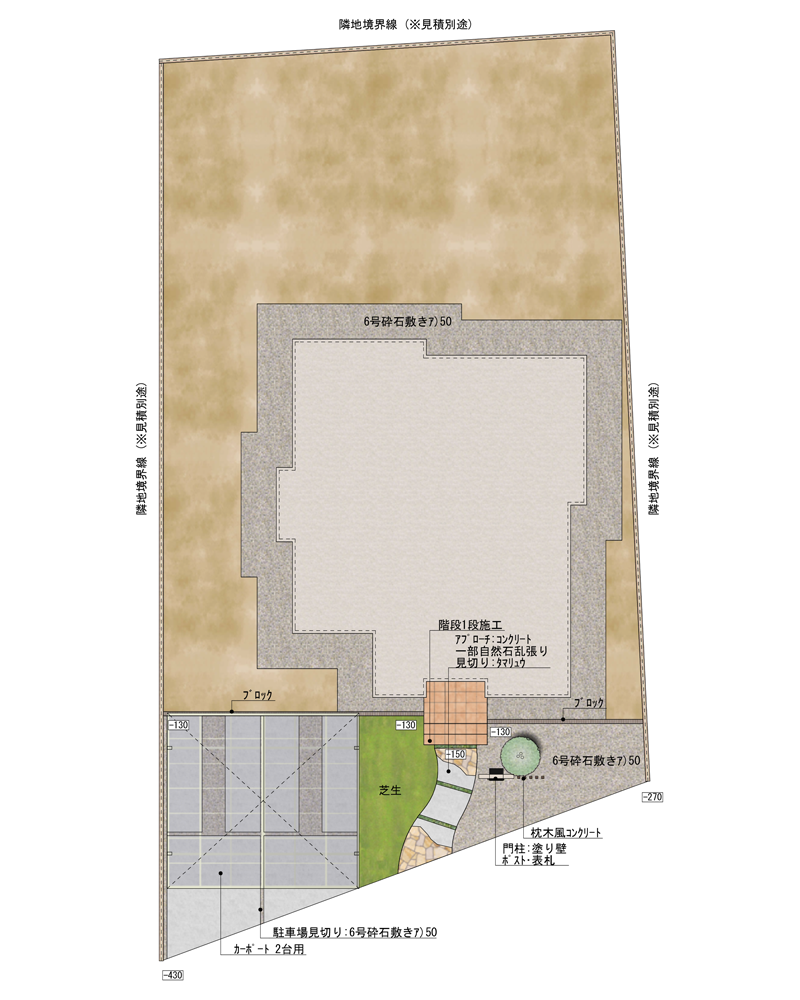
※隣地境界工事費・植栽工事費はプランに含みません
| 工事内容 | 主な仕様・素材 | 商品名 |
|---|---|---|
| 駐車場 2台 | 土間コンクリート施工 | |
| 見切り6号砕石 | ||
| アプローチ | 自然石乱張り | TOYO:オークルストーン |
| 見切りタマリュウ | ||
| 階段追加工事 | 300角タイル張り | |
| 土留め・門袖 | 化粧ブロック | エスビック:ウルトラC |
| 門柱・門袖 | 下地ブロック+塗り壁 | 四国化成:美ブロシルキー |
| 枕木風ポール施工 | TOEX:デザイナーズパーツ70角 | |
| カーポート | 2台用 | TOEX:メジャーポートⅡRタイプ |
| 表札 | アイアンタイプ | 美濃クラフト:SP-22 |
| ポスト | 壁付けタイプ | オンリーワン:ブランチ |
| 砂利敷き | 6号砕石 |
