※隣地境界工事費・植栽工事費はプランに含みません
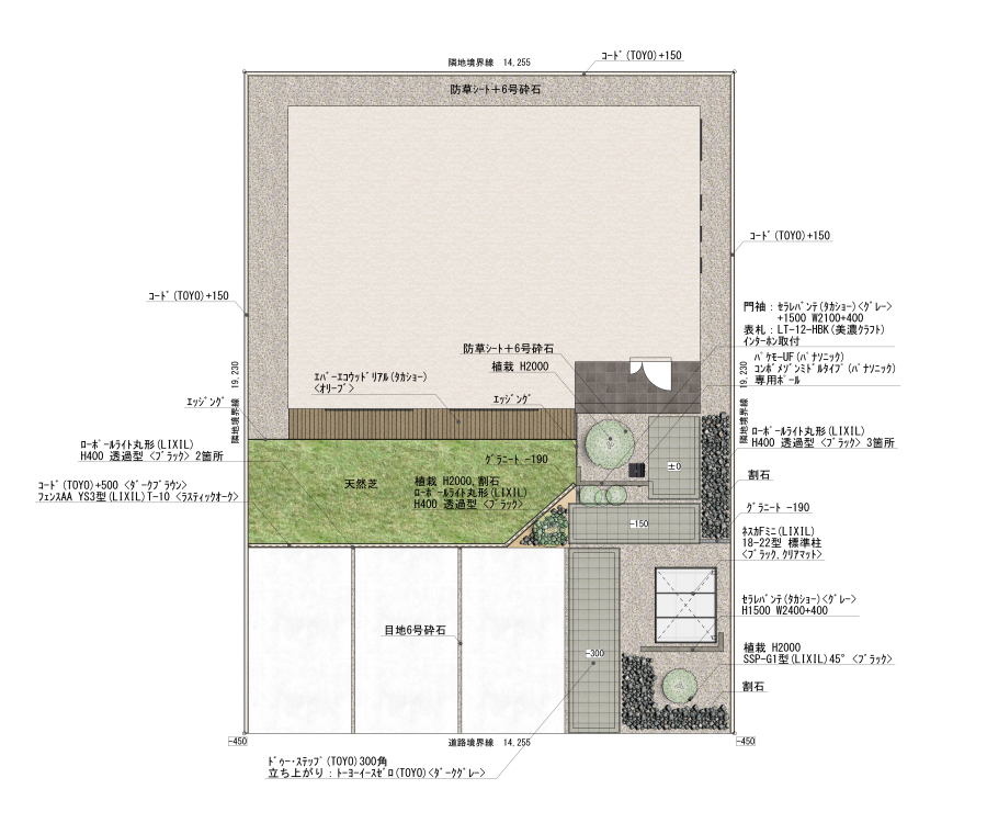
| 工事内容 | 主な仕様・素材 | 商品名 |
|---|---|---|
| 駐車場 | 土間コンクリート施工 | |
| 伸縮目地・砂利目地 | ||
| アプローチ | インターロッキング | TOYO:ドゥー・ステップ |
| 化粧ブロック | TOYO:トーヨーイースゼロ | |
| 門袖 | タイル貼り | タカショー:セラレバンテ |
| 門柱 | 郵便ポスト | Panasonic:パケモUF |
| 宅配ポスト | Panasonic:コンボメゾン | |
| 駐輪場 | サイクルポート | LIXIL:ネスカFミニ |
| 目隠し | ブロック積み | TOYO:コード |
| フェンス | LIXIL:フェンスAA | |
| デッキ | 樹脂デッキ | タカショー:エバーエコウッドリアル |
| お庭 | 天然芝敷き | |
| 建物周り | 防草シート・6号砕石敷き・割石 |
