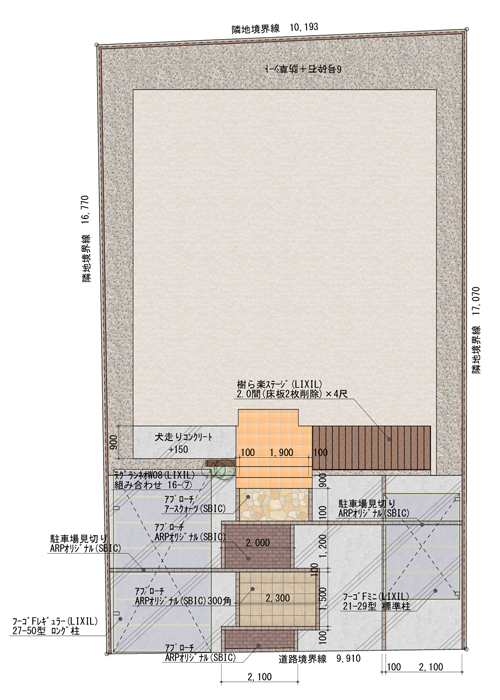
※隣地境界工事費・植栽工事費はプランに含みません
| 工事内容 | 主な仕様・素材 | 商品名 |
|---|---|---|
| 駐車場2台分 | 土間コンクリート施工 | |
| 見切り:インターロッキング | ARPオリジナル(SBIC) | |
| カーポート | 1台用 | フーゴFレギュラー(LIXIL) |
| サイクルポート | 4台用 | フーゴFミニ(LIXIL) |
| アプローチ | インターロッキング | ARPオリジナル(SBIC) |
| アプローチ | 自然石乱張り | アースクォーツ(SBIC) |
| 門柱 | 機能門柱 | テグランネオW08(LIXIL) |
| ウッドデッキ | 2間×4尺 | 樹ら楽ステージ(LIXIL) |
| 建物周り | 6号砕石+防草シート |
